
ANA MARTINS
Négociatrice
Contacter l'agent

Vendu
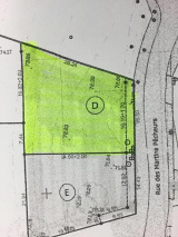
Terrain 566 m² 566 m²
Sèvremoine (49230)
50 814 €
Référence 0043-D
A propos de ce bien
SAINT GERMAIN SUR MOINE TRÈS BEAU Terrain viabilisé en lotissement, idéal pour premier achat. Écoles et commerces accessibles. A 25 minutes de Nantes et 19 minutes de Cholet. Consultez d'autres annonces sur notre site internet SEVREMOINEIMMOBILIER !
Caractéristiques de ce bien
- Surface 566 m²
- terrain 566 m²
- Chauffage autre : autre (autre)
- exposition Ouest
Diagnostics énergétiques
Consommation énergétique
A
B
C
D
E
F
G
Emission de gaz à effet de serre
A
B
C
D
E
F
G
DPE ANCIENNE VERSION
Diagnostics énergétiques
DPE ANCIENNE VERSION
Informations financières
Prix de vente honoraires TTC inclus
50 814 €
Prix de vente honoraires TTC exclus
46 974 €
Honoraires TTC à la charge acquéreur
8,17 %
Autour du bien
-
Commerces et santé
-
Loisirs
-
Ecoles
-
Transports
-
Pratique